What wreck

What wreck

Postby Tynesider » Mon Apr 11, 2022 3:58 pm

i WONDER WHAT THIS WRECK IS RECENTLY FOUND :D

NOTICE TO MARINERS NO 2 OF 2022 - UNCHARTED WRECK
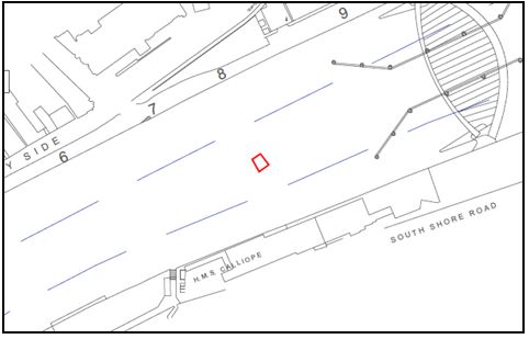
River Tyne - HMS Calliope – Gateshead - Position Latitude 54º58.143862’N Longitude 001º36.118657’ W

Notice is hereby given that an Uncharted Wreck has been found at Latitude 54º58.143862’ N Longitude 001º36.118657’ W. It has a height of 1.44m above the seabed with the least depth over the wreck being 5.5m - 2m shallower than the general depth in the area. The wreck is 9.51m length, width 2.55m and orientation of 315 degrees. All vessels navigating in the vicinity are advised to account for this change in depth.

NtM No 2 of 2022.jpg
Mike
Archivist for the Colvic Watson Owners Group
Tynesider
 
Posts: 798
Joined: Tue Jun 19, 2012 7:14 pm
Location: Shropshire

Return to Tyne Improvement Commission

Who is online

Users browsing this forum: No registered users and 1 guest